7975 Ga Highway 21 Highway, Port Wentworth, GA

$5,400,000

Previous Next

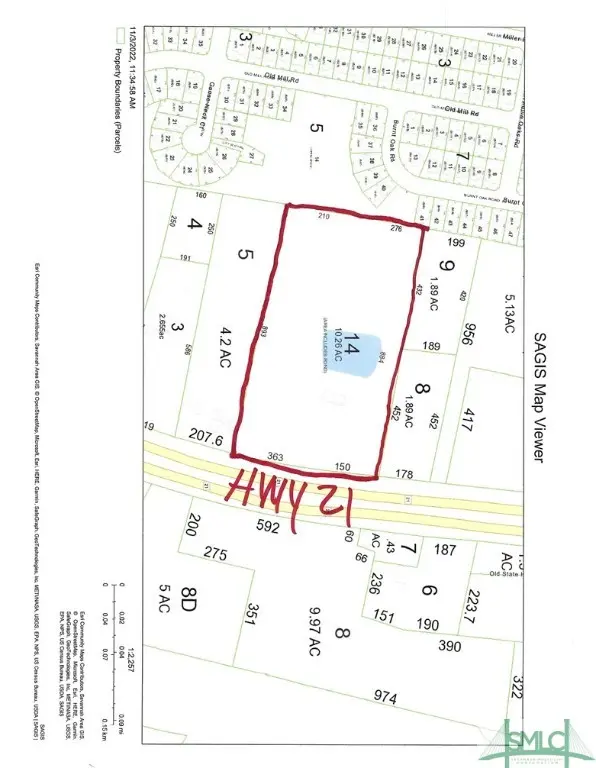
10.26

Acres

About 7975 Ga Highway 21 Highway

Commercial Property is 10.26 acres with 515' of road frontage on US Highway 21. DOT daily traffic count is 35,900+ per day on Hwy 21 and I-95 is in excess of 58,000 VPD. Located in the midst of a booming area with other residential and commercial developments. Adjoining property is also available for sale MLS##277378 is 4.2 acres with 210ft frontage.Purchased together would give close to 725ft frontage & 14.46 acres.

Features of 7975 Ga Highway 21 Highway

MLS # 279777
Price $5,400,000
Bathrooms 0.00
Square Footage 446926
Acres 10.26
Type Land
Sub-Type Land
Status Active

Community Information

Address 7975 Ga Highway 21 Highway
City Port Wentworth
County Chatham
State GA
Zip Code 31407

Amenities

Is Waterfront No
Waterfront Pond
Has Pool No

Interior

Fireplace No
# of Stories 1
Has Basement No

Additional Information

Date Listed October 29th, 2022
Zoning P-C-3
Short Sale No
RE / Bank Owned No

Listing Details

AgentAnna L. Balph
OfficeNext Move Real Estate LLC

Listing Map

Request a Showing

Provide a valid email address.
When would you like to view this property?